

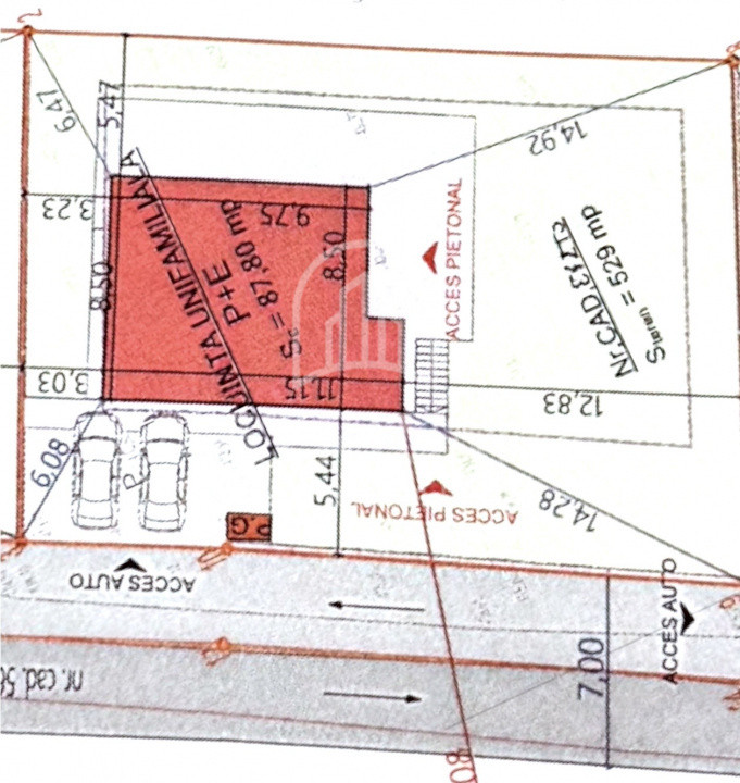
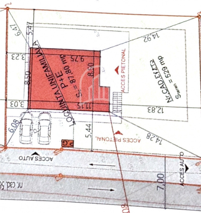
Va propunem spre vanzare teren intravilan cu autorizatie de constructie si o fuprafata de 529 mp, zona Floresti.
Terenul are un front stradal de 25 mp liniari, dispune de autorizatie de constructie pentru casa individuala pe 2 nivele.
La marginea terenului sunt deja disponibile toate utilitățile necesare: gazul, curentul electric, apa și canalizarea.
Zona linistita, fiind foarte bine conectata cu infrastructura localitatii, permite un trai urban confortabil cu acces la toate facilitatile necesare.
Pentru mai multe detalii sau programarea unei vizionari, nu ezitati sa ne contactati!
ID: P234002